Live Updates about Hurricane Melissa, a ferocious Category 5 storm with 175 MPH winds, is hammering Jamaica with torrential rain, catastrophic flooding, and widespread blackouts. Officials confirm that nearly one-third of the island is without power. Follow our live coverage for real-time updates on Melissaโs path, national emergency measures, and international relief efforts.
12:20 PM โ Watch: Hurricane Melissa strengthens as Jamaica braces for impact (BBC News)
Table of Contents
Live Updates: Hurricane Melissa Brings Catastrophic Wind and Rain as Power Cuts Hit a Third of Jamaica

Kingston, Jamaica โ October 28, 2025 | Updated 11:45 PM local time
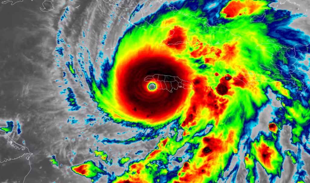
Hurricane Melissa, now a Category 5 monster storm, continues to devastate Jamaica with 175 MPH winds and torrential rain, cutting off power to nearly one-third of the island and triggering life-threatening floods across multiple parishes.
Emergency services are overwhelmed as communication lines collapse and entire towns remain isolated. The Office of Disaster Preparedness and Emergency Management (ODPEM) has described the situation as โnationally catastrophic.โ
Live Updates: 11:45 PM โ Power Outages Affect a Third of Jamaica
The Jamaica Public Service (JPS) confirmed that more than 600,000 residents are without electricity due to extensive damage to transmission lines and transformers. Power has been lost in major areas including Kingston, St. Catherine, and Manchester.
โOur teams are on standby but canโt begin restoration until winds drop below safe levels,โ said JPS spokesperson Keneisha Brown.
The government has activated backup power at hospitals and shelters, prioritizing critical care facilities. (Reuters)
Live Updates: 10:30 PM โ Streets Flooded, Evacuations Ongoing
The National Meteorological Service reported rainfall totals exceeding 30 inches (760 mm) in some regions, while flash floods have swept through parts of Kingston, Clarendon, and St. Elizabeth.
Videos posted online show vehicles submerged up to their windows and homes completely surrounded by floodwaters. Rescue workers are using boats to reach stranded families.
Live Updates: 9:45 PM โ Airport and Port Operations Suspended
Both Norman Manley International Airport and Sangster International Airport remain closed as wind gusts exceed 120 MPH near the coasts. The Port Authority of Jamaica also halted all shipping operations after 25-foot waves battered docks and coastal infrastructure.
โAll port activity is suspended until at least Thursday,โ said a Port Authority official. (The Guardian)
Live Updates: 8:50 PM โ National Emergency Declared
Prime Minister Andrew Holness has declared a state of national emergency, calling Hurricane Melissa โone of the worst disasters in Jamaicaโs history.โ
โWe are in an all-hands-on-deck situation,โ he said in an emergency address. โEvery available resource is being deployed to safeguard lives.โ
More than 500 shelters across the island now house tens of thousands of evacuees, with the Jamaica Defence Force assisting in rescue operations.
Live Updates: 7:40 PM โ Meteorologists Warn of Slow Movement
According to the U.S. National Hurricane Center (NHC), Melissa is moving northwest at just 8 MPH, prolonging destructive conditions.
โA slow-moving Category 5 hurricane is a worst-case scenario,โ warned NHC meteorologist Dr. Elena Ramirez. โProlonged wind exposure and rainfall could devastate infrastructure.โ
(NHC Official Advisory)
Live Updates: 6:30 PM โ Heavy Rain, Landslides in Mountain Areas
In eastern parishes like Portland and St. Thomas, emergency crews reported multiple landslides blocking major highways. Several mountain communities are cut off, and authorities are warning that slope instability could worsen overnight.
โWe are seeing continuous rainfall โ the ground simply cannot absorb more water,โ said ODPEM Director Richard Thompson.
Live Updates: 5:45 PM โ Climate Scientists Cite Warming Seas
Experts say that record sea temperatures (31 ยฐC / 88 ยฐF) in the Caribbean helped Melissa rapidly intensify from a tropical storm to a Category 5 hurricane in less than 48 hours.
โThis is climate change in action,โ said Dr. Michael Andrews from the University of the West Indies. โHurricanes are becoming stronger, wetter, and slower.โ
(AP News)
Environmental analysts say Jamaicaโs experience underscores the urgent need for climate adaptation and infrastructure resilience across the Caribbean.
Live Updates: 5:00 PM โ International Aid on Standby
Relief organizations, including the United Nations, Red Cross, and USAID, are coordinating support from neighboring countries. Aid flights remain grounded until conditions improve.
โWeโre preparing emergency kits for immediate deployment,โ said UN Caribbean coordinator Maria Torres.
The Caribbean Disaster Emergency Management Agency (CDEMA) has activated its regional response mechanism, with teams ready to assist as soon as weather conditions allow.
Next Updates
Authorities urge residents to stay indoors and avoid flooded areas. The storm is expected to continue battering Jamaica through the early morning hours before moving toward the Cayman Islands.
Real-time updates are available from the National Hurricane Center and local agencies.